71°
Baton Rouge, Louisiana
7 Day Forecast
Follow our weather team on social media

New subdivision to be voted on third time Tuesday

4 years 2 months 2 weeks ago Monday, January 17 2022 Jan 17, 2022 January 17, 2022 10:57 PM January 17, 2022 in News
Source: WBRZ

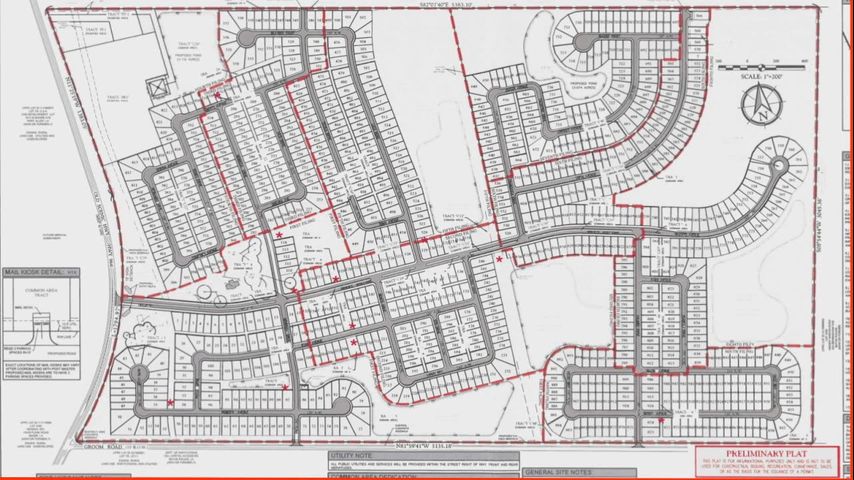
EAST BATON ROUGE PARISH - It's round three for a massive subdivision developer to try and persuade East Baton Rouge officials to let them build.

The DR Horton development to be built on Groom Rd and Old Scenic Hwy was first voted down unanimously by the Zachary planning and zoning commission, then again by the parish in August.

It's a project that has virtually no local support—including from the usual beneficiaries of new developments—the school board and police department.

"The infrastructure, the roads, we don't have it here, and our schools are starting to burst at the seams," Zachary Police Chief David McDavid said.

McDavid has been vocal in his opposition to the 350-acre subdivision, saying it would be too much of a strain on an already understaffed department.

"We don't' have the manpower here. Neither does the surrounding agencies. Baker PD called us last week. They have people out sick, people injured."

School board superintendent Scott Devillier says he is still not in favor of the neighborhood due to overcrowding.

McDavid says he thinks the developers should look at building next door.

"I don't know if Baker wants a new subdivision. Baker ain't had a high school since 2016. Why don't you put the neighborhood in their jurisdiction and get them a high school."

Since the last vote in August, the developer has knocked off 40 lots, bringing the total down to 946. Whether they have tried to sweeten the deal anymore will not be revealed until Tuesday's meeting.

More News

Desktop News

Click to open Continuous News in a sidebar that updates in real-time.
Radar
7 Days